By Krystal Smalley
ksmalley@wbcowqel.com
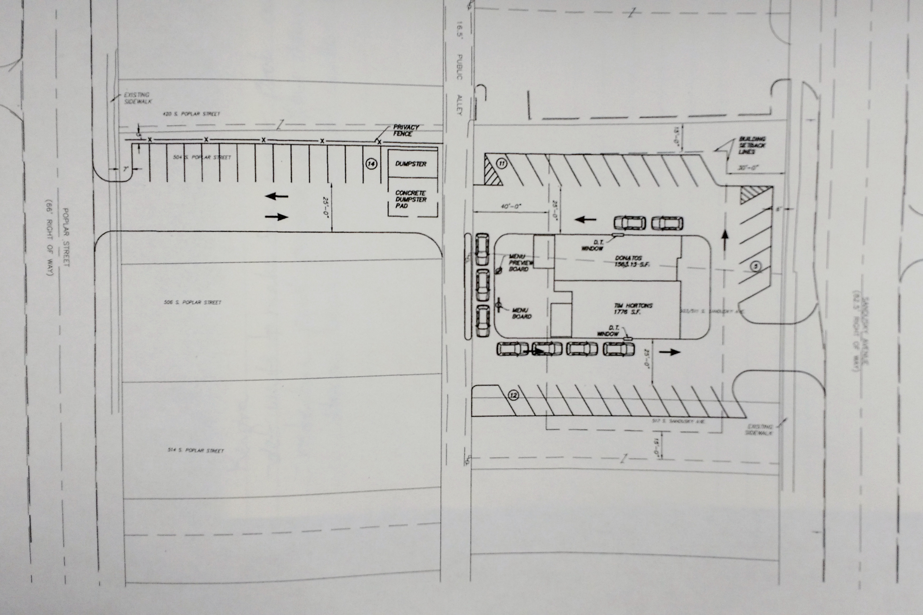
The rumors surrounding Tim Hortons can be laid to rest at the moment – the Canadian breakfast-chain is still coming to Bucyrus.
Rumors abounded last week that the restaurant was pulling out of its planned construction along South Sandusky Avenue, but Bucyrus City Council President Sis Love firmly denied the rumor Wednesday night.
What may have sparked the rumor was the fact that Tim Hortons withdrew a request to rezone parcels from a Suburban Residential District to a Neighborhood Business. The subsequent public hearing for the request was cancelled.
Donatos has pulled out of the project, but Tim Hortons has remained firm in coming to Bucyrus despite a few vocal opponents. The formerly 3,000 square-foot restaurant has now been dropped down to 1,700 square feet to account for a smaller business.
RELATED CONTENT: Changes to parking lot code ‘parked’ by Platting Committee | Resident unhappy with city allowing businesses in neighborhoods | Neighbors concerned about Tim Hortons/Donatos restaurant
